- Западный или калифорнийский цветочный трипс — очень опасный вредитель, который распространен на большой территории России, от западной границы до Сибирского и Кавказского регионов.
- Он представляет опасность не только потому, что практически всеяден и уничтожает цветочные и декоративные растения, плодоносящие деревья, овощные посадки, но еще и может выступать переносчиком множества опасных заболеваний.
- На данном этапе калифорнийский трипс замечен более чем на 250 растениях.
Показать содержание
Описание вредителя
Калифорнийский трипс находится в списке вредителей, с которыми чаще всего приходится иметь дело работникам Отдела карантина растений и фитосанитарного мониторинга. Его личинки часто обнаруживаются в грузах с продовольственными товарами и цветами на продажу.
Внешний вид
Родиной западного цветочного трипса считается Северная и Центральная Америки, где широко распространен на всем материке от Мексики и до Аляски. Впервые он был выявлен в Калифорнии, благодаря чему и приобрел свое название. Однако там предполагают, что изначально его завезли с цветочной продукцией из одной из стран Южной Америки.
В странах Европы этот вредитель впервые был зафиксирован в 1983 году, и с тех пор распространился по всей европейской части. В России он был замечен в начале 90-х годов 20 века, когда его завезли вместе с цветами.
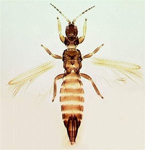
Взрослая особь имеет длину 1,4-2,0 мм. Тело узкое, цвет может различаться от светло-желтого, до темно-коричневого. Голова желтого цвета. Крылья бахромчатого вида, немного затемненные. Личинки похожи по внешнему виду на взрослые особи, однако, значительно меньше размером и с более светлым окрасом.
СПРАВКА! Главные отличия калифорнийского от других видов трипса — иная окраска некоторых частей тела и иное строение (различное строение усиков и щетинок, разная длина). Из-за малого размера, определение вида можно произвести в лабораторных условиях под микроскопом.
Зиму калифорнийский трипс проводит в тепле внутри теплицы — взрослые особи укрываются растительными остатками, личинки — в грунте. В теплых районах может происходить зимовка в открытой почве. Весной, после того как производится посадка рассады, насекомые атакуют ее.
Самки помещают яйца в верхней части стебля и созданные отверстия в листьях. За месяц, поедая растение, трипс может отложить до 300 яиц. Это количество может быть увеличено, если насекомое питается пыльцой.
Вылупившиеся личинки две стадии развития переносят на растении, поедая его, а затем переходит в почву. Всего на полное развитие одной колонии калифорнийского трипса уходит 15-21 день. В идеальных условиях за один год может появиться от 12 до 15 поколений.
Фото западного калифорнийского цветочного трипса:




Какими растениями питается?
Западный цветочный трипс — вредитель широкого профиля.
Он поражает хлопчатник, лук, огурец, перец, томат, землянику, персик, виноград и другие виды фруктовых и овощных растений. Кроме этого, нападению подвергаются и цветы: розы, цикламены, хризантемы, герберы и т.д.
СПРАВКА! Насекомые в начальной и взрослой формах производят вытягивание сока из растительных культур.
На первых стадиях происходит образование пятен желтого цвета, шероховатостей. С течением времени такие пятна соединяются воедино. После отмирания поврежденных побегов они опадают.
Во время массового заражения калифорнийским трипсом хорошо видны уничтоженные участки, наблюдается кривизна стеблей зараженных растений, задержка и деформация роста молодых побегов.
Питание почками цветов приводит к нарушению и скручиванию цветков. Поврежденные калифорнийским трипсом бутоны не раскрываются и засыхают. Поедание пыльцы не позволяет растению сформировать полноценные цветки.
ВАЖНО! Заражение вредителем приводит к значительному снижению урожайности, падению товарной стоимости растений, выращиваемых с целью продажи (к примеру, декоративных цветов), а большая колония насекомых может вызвать гибель всего растения.
В плодовых культурах также наблюдаются характерные повреждения. Так, на сладком перце возникают серебристые полоски, ягоды земляники меняют цвет, форма огурцов изменяется и овощи деформируются, на поверхности томатов появляются отверстия.
Помимо уничтожения побегов, вредитель является переносчиком вирусных заболеваний, которым подвержены множество видов растений. Наиболее распространенное — пятнистое увядание томатов.
Главные симптомы заражения — появление на листве ярких желтых пятен, фрагменты стебля приобретают темный оттенок. Для передачи инфекции трипсу нужно питаться растением в течение 30 минут.
Особенности борьбы с вредителем
Уничтожение при помощи химикатов затруднено из-за ряда факторов. Во-первых, это совсем небольшое и скрытное насекомое, и как правило прячется в почках, бутонах, цветках, под разного рода чешуйками. Благодаря этому становится сложно обеспечить прямое воздействие химикатов.
Во вторых, в Америке, откуда он родом, калифорнийский трипс получил иммунитет к большому количеству инсектицидов. В теплицах, где это насекомое действует чаще всего, химикаты против него не совместимы со средствами против других насекомых.
Сейчас уничтожение цветочного трипса может выполняться различными способами:
- Механический — растения, которые могут испытать нашествие вредителя, нужно накрыть тонкой сеткой с небольшими ячейками. Ей же преграждают оконные и дверные проемы;
- Агротехнический — визуальный контроль и быстрая ликвидация зараженных побегов, тщательное удаление сорняков и растительных остатков. В теплицах развешиваются специальные ловушки для насекомых, которые могут предотвратить заселение трипсом или, с помощью анализа собранных насекомых, установить степень заражения;
- Биологический — борьба с калифорнийским трипсом проводится путем выпуска в зараженной теплице особых видов клещей и клопов. Они способны сильно снизить масштабы колонии, однако, полностью уничтожить вредителя таким способом невозможно. Кроме этого, необходимо учитывать, что насекомые-хищники атакуют только личинок, и не питаются взрослыми особями;
- Химический — разработаны несколько инсектицидов, которые максимально эффективно могут бороться с вредителем. В основном, это высокотоксичные средства, которые нужно применять с 3-5 дневными промежутками по 2-3 раза.
Трипс калифорнийский (западный цветочный) — очень мелкий вредитель, который поражает широкий спектр овощей и плодовых деревьев, декоративных цветов. Помимо уничтожения непосредственно растения, это насекомое может передавать целый ряд опасных вирусных инфекций. Борьба с ним затруднена тем, что трипс часто прячется в бутонах, цветках, под чешуйками.
В заключении предлагаем вашему вниманию видео о нашествии калифорнийского цветочного трипса:
Трипсы, или Бахромчатокрылые (Thysanoptera) описание и меры борьбы на FloralWorld.ru
Трипсы или Пузыреногие, бахромчатокрылые (Thysanoptera), отряд насекомых.
Большинство трипсов растительноядны, но есть и плотоядные (виды родов Aelothrips, Scolothrips и некоторые др.), питающиеся главным образом яйцами и личинками растительноядных трипсов.
Отряд насчитывает до 2 тысяч видов, в странах бывшего СССР порядка 230 видов.
Трипсы — малозаметные насекомые; тело стройное, вытянутое, сжатое в спинно-брюшном направлении, размером от 0,5-2 мм (редко до 5 мм), в тропиках — до 14 мм.. Голова с асимметричным колющим ротовым аппаратом. Переднегрудь свободная, средне- и заднегрудь слиты.
Ноги с 2-члениковыми лапками без коготков; у основания каждой лапки пузыревидное вздутие (отсюда название). Крылья с 2–3 продольными жилками или без жилкования. По краям крыльев бахрома из длинных волосков (отсюда другое название). Брюшко из 11 сегментов. Личинки отличаются от взрослых лишь отсутствием крыльев.
Между стадиями личинки и подвижной (имаго), но не питающаяся стадия (2 возраста) с зачатками крыльев — аналог куколки.
Окраска взрослых насекомых невзрачна: преобладают черный, серый и бурый цвета. Личинки трипсов беложелтые, сероватые. Определение видов трипсов затруднено из-за их мелких размеров и внутривидовой изменчивости. Наиболее распространены разноядный, декоративный, драценовый, розанный, табачный, луковичный и некоторые другие виды трипсов.
Несколько сотен видов мелких растительноядных трипсов в настоящее время считаются очень опасными вредителями культурных растений.
Они высасывают сок из листьев, цветков и плодов, переносят вирусы, загрязняют растения своими выделениями. Для многих видов трипсов характерны скрытый образ жизни и групповое развитие личинок.
Трипсы могут быть только на одном растении среди целой группы, поэтому обнаружить первые очаги их появления трудно.
Различные виды
Разноядный трипс (Frankliniella intonsa) — темно-бурая окраска тела, длина 1,2 мм. Широкий полифаг, развивается на цветках многих культурных растений. Повреждает цветки и формирующуюся завязь. Сильно вредит многим декоративным, а также плодовым, ягодным, овощным растениям. В естественных условиях встречается по всей Палеарктике.
Из теплиц может быть принесен Западный цветочный (калифорнийский) трипс (Frankliniella occidentalis), широгий полифаг. Сильно вредит многим декоративным, а также плодовым, ягодным, овощным растениям.
Декоративный трипc (Hercinothrips femoralis) — темно-бурая окраска тела, самка длиной 1,7 мм, самец несколько меньше.
Повреждает практически все декоративные растения: луковичные, коммелиновые, хризантемы, орхидеи, каллы, кротоны, гардении, бегонии, колеусы, кактусы, драцены, пальмы и многие другие.
В средней и северной частях России — житель закрытого грунта (оранжереи, теплицы).
Драценовый трипc (Parthenothrips dracaenae) — окраска тела самки желто-бурая, длина тела 1,2 мм, самец чуть меньше и светлее.
Встречается на листьях очень большого числа видов декоративных растений: аралий, коммелиновых, гибискусов, ароидных, фикусов, драцен, пальм и других.
В естественных условиях встречается в тропиках и субтропиках, севернее — на растениях в закрытом грунте.
Розанный трипc (Thrips fuscipennis) — тело самки коричневого окраса, длиной 1 мм, самцы меньшего размера. Широкий полифаг, обитает в цветках и на листьях разнообразных растений, преимущественно розоцветных. Обитает как в открытом, так и в закрытом грунте.
Табачный трипc (Thrips tabaci) — окраска тела самки изменчива, от светло-желтой до бурой, длина до 1 мм, самец еще мельче. Опасный вредитель очень многих декоративных и культурных растений. В естественных условиях встречается в Средней и Южной полосе России, на севере — вредит растениям в теплицах, оранжереях.
Луковичный трипc (Liothrips vaneeckei) — тело темно-бурого цвета, длиной до 2 мм. Живет между чешуйками луковиц различных видов лилейных, а также на луке. Широко распространен в России.
Характер поражения
Личинки и взрослые особи высасывают клеточный сок из растительной ткани. Первоначально это вызывает появление желтых или обесцвеченных пятен, полос или своеобразной штриховатости; постепенно эти штрихи и пятна сливаются. Поврежденная растительная ткань отмирает, в результате образуются отверстия; листья увядают и опадают. Цветки теряют свою декоративность и преждевременно опадают.
При массовом заселении на растениях видны «серебристые» участки, часто отмечается искривление стеблей. Повреждение цветочных почек вызывает деформацию цветков. На пораженных трипсами растениях видны следы экскрементов.
Трипсы также опасены тем, что являются переносчиками опасных заболеваний растений.
Большинство трипсов являются полифагами, то есть повреждают практически все растения.
Следы повреждений трипсов на различных растениях
(чтобы посмотреть фото в полном размере нажмите на фото).
Повреждения трипсами на листе калатеи. Повреждения трипсами на листе калатеи. 
Повреждения на листе хлорофитума Повреждения на листе хлорофитума 
Повреждения на листе ахименеса Личинка трипса
![]() |
![]() |
Профилактика.
Избегать чрезмерной сухости воздуха в комнате.
Регулярно осматривать цветки и листья растений. На нижней стороне листа можно заметить светлых (бело-желтых или сероватых) бескрылых личинок трипсов, которые, тем не менее, способны очень быстро передвигаться. Можно обнаружить и взрослых особей, невзрачной буроватой или желтоватой окраски, иногда с поперечными полосками.
- Устраивать для растений периодически душ.
- Клейкие ловушки — синего или желтого цвета полосы бумаги, развешанные среди растений, — помогают не только вовремя обнаружить этого вредителя, но и снизить его численность.
- Важно: трипсы легко перебираются с пораженного растения на стоящие рядом здоровые.
Способы борьбы и лечения
- Трипсы — особо стойкие вредители!
- Трипсы размножаются очень быстро — при оптимальных для них температурах (а для многих видов это как раз и есть комнатная температура — 20-25℃) они могут удваивать свою численность за 4–6 дней.
- При обнаружении на растениях трипсов необходимо осмотреть рядом стоящие растения, так как трипсы легко перебираются на соседние растения.
Если есть возможность, пораженные растения лучше изолировать от здоровых.
Перенесите растения очень аккуратно: при тряске переносимых растений личинки и взрослые особи легко падают с листьев и могут долго ждать момента, чтобы вновь поселиться на растениях.
Место, где стояли растения, пораженные трипсами, следует тщательно очистить, а также убрать самый верхний слой почвенной смеси в горшках у обработанных препаратами растений.
Перед обработкой инсектицидом помойте растение под душем. Если на данный момент у вас нет инсектицида, то можно помыть растение губкой с хозяйственным мылом, это временная мера, и она не обеспечивает выведения трипсов!
Из препаратов можно применять следующие:
Фитоверм растворить 2мл в 200 мл воды. Полученным раствором опрыскать пораженное растение, после опрыскивания надеть на растение прозрачный полиэтиленовый пакет, пакет можно снять через сутки.
Вертимек растворить 2,5 мл препарата в 10 л воды. Полученным раствором опрыскать пораженное растение, после опрыскивания надеть на растение прозрачный полиэтиленовый пакет, пакет можно снять через сутки.
Агравертин норма расхода: 5 мл на 0,5 л воды. При температуре ниже +18 градусов плохо проникает в ткани растения. Полученным раствором опрыскать пораженное растение, после опрыскивания надеть на растение прозрачный полиэтиленовый пакет, пакет можно снять через сутки.
Актелик растворить ампулу в 1л воды (имеет очень резкий запах). Полученным раствором опрыскать пораженное растение, после опрыскивания надеть на растение прозрачный полиэтиленовый пакет, пакет можно снять через сутки. Актеллик не рекомендуется к применению в жилом помещении из-за высокой токсичности!
Каратэ норма расхода: 0,5 мл на 2,5 литра воды (в ампуле 2 мл).
Конфидор раствором необходимо не опрыскивать, а пролить субстрат у зараженного растения.
Карбофос норма расхода: 15 гр на 2 л. воды (упаковки по 60 и 30 гр).
Интавир норма расхода: 1 таблетку растворить в 10 л. воды. Полученным раствором опрыскать пораженное растение, после опрыскивания надеть на растение прозрачный полиэтиленовый пакет, пакет можно снять через сутки.
Обработку надо произвести как минимум дважды с интервалом 7–10 дней, так как из отложенных в ткани листьев яиц постепенно вылупляются личинки.
Народные средства
Различные народные средства помогают при малом поражении растения трипсами, но если поражение массовое, то необходимо применять различные системные инсектициды, которые проникают в растение и действуют уже через ткани растения на трипсов.
Используют отвары: горчака ползучего, горчицы сарептской, перца стручкового, табака настоящего, тысячелистника обыкновенного, чистотела большого.
Энтамофаги.
Помимо инсектицидов при борьбе с трипсами можно использовать хищных клещей: Amblyseius cucumeris, Amblyseius barken, Amblyseius degenerans, хищных клопов Orius laevigatus, Orius majusculus.
Опыт по борьбе с трипсами — обсуждение на нашем цветочно форуме
В статье были использованы материалы:
Большая советская энциклопедия.
Палеева Т.В. Определитель болезней и вредителей растений. — М.: Изд-во Эксмо, 2004. — 192 с., ил.
http://www.zin.ru/projects/invasions/rus/insects/fraocc1.htm
http://www.ento.csiro.au/thysanoptera/index.html
http://www.ucmp.berkeley.edu/arthropoda/uniramia/thysanoptera.html
Трипс пшеничный. Вредитель зерновых культур
28.03.2017
Трипсы– отряд мелких насекомых с колюще-сосущим ротовым аппаратом и крупными глазками. Принято считать, что трипсы являются предками всего отряда клопообразных и, соответственно, одними из наиболее древних видов насекомых на Земле.
Всего трипсов (лат. Thysanoptera) насчитывается около четырех с половиной тысяч видов. В некоторых источниках они обозначаются как колбоногие или бахромчатокрылые, но для абсолютно всех особей этого вида характерен незначительный размер тела (не более двух миллиметров).
Некоторых виды трипсов имеют слабо развитые крылья, а часть не имеют их совсем.
Имаго (взрослая особь) насекомого является вредителем. Она повреждает соцветия различных растений (плодовых, ягодных, злаковых и даже хвойных).
Существует великое множество разновидностей трипсов: цветочный, декоративный, свекловичный, бобовый, виноградный, гороховый, ольховый, табачный, липовый и так далее. По названию того или иного насекомого, можно легко определить и ареал его обитания, и вкусовые пристрастия.
Некоторые виды трипсов паразитируют в теплицах, некоторые на комнатных растениях и цветах, но есть и такие, которые питаются преимущественно злаковыми культурами. Причем наибольший ущерб именно хлебным злакам наносят пшеничный и овсяный вредители.
- Помимо этого трипсы и их личинки могут являться переносчиками различных вирусных заболеваний.
- Пшеничный трипс
- Пшеничный трипс распространен повсеместно, где выращивают пшеницу, и может перелетать с плантации на плантацию.
- Вредитель высасывает свежий сок из нежной обвертки колоса или из основания сочной листовой пластины или из молодых колосковых чешуек, отчего злак перестает расти и это впоследствии приводит к недоразвитию зерна в колосе.
- Из-за нанесенных повреждений верхушка колоса присыхает, и зерно становится щербатым, неполноценным, что в итоге снижает посевное качество семян.
- Личинка трипса тоже не бездействует, высасывая сок из свежих побегов, отчего на них образуются светлые пятна, а нежная структура колоска деформируется и становится рыхлой.
Взрослые насекомые появляются в начале колошения озимых, как правило, это происходит в конце мая или в начале июня. Наиболее интенсивный лет вредителя совпадает с началом колошения яровой пшеницы.
Зимуют взрослые особи трипсов под листьями, в коре деревьев, в пучках травы.
Имаго имеет удлиненное тело бурого или черного цвета, две пары узких прозрачных крыльев с бахромой из волосков, которые к основанию крыла темнеют. Голова у насекомого имеет скошенную конусовидную форму с желтыми усиками.
Самцы пшеничного трипса встречаются гораздо реже самок. Длина тела самки составляет всего около двух миллиметров, а у самцов достигает лишь полутора миллиметров.
Яйца трипса очень мелкие, бледного цвета с плохо выраженным оранжевым оттенком.
Взрослые личинки имеют темно-красный цвет, на последнем сегменте тела имеются мелкие щетинки. Долгую зиму личинки проводят в грунте.
Самка трипса откладывает яйца по четыре, реже по восемь штук за раз, кладя их на внутреннюю сторону колосовых чешуек или непосредственно на стержень колоса.
Наибольшее количество яиц самка откладывает в первую неделю, хотя всего период яйцекладки занимает около месяца. Общее число отложенных яиц доходит до тридцати — сорока (редко до пятидесяти штук), и уже примерно через неделю из них появляются мелкие личинки.
Максимальное число личинок приходится, как правило, на молочную спелость зерновых. Личинки жадно питаются соком колосовых чешуй, цветочных пленок, а с наступлением восковой спелости оставляют колос.
- При массовом распространении личинок их плотность может достигать двухсот и более особей на один колосок.
- Слабо поврежденные личинками зерно теряет около пяти-семи процентов своего веса и до тридцати и выше процентов при более сильном повреждении.
-
В конце лета (в период уборки урожая) личинки уходят в почву на зимовку. Зимуют они в поверхностном слое на глубине до десяти – пятнадцати сантиметров.
Как только наступит весеннее тепло, и земля прогреется до восьми градусов тепла, личинки проходят финальную стадию развития и превращаясь во взрослую особь. Их массовый лет совпадает по сроку со всходами озимых.
За один сезон развивается одно поколение вредителей.
Пшеничные трипсы не только ухудшают качество зерна и снижают его массу. Общая потеря урожая при наличии большого числа вредителей может составлять до двадцати процентов (!)
Важно помнить, что благоприятные погодные условия (когда тепло и сухо) положительно влияют на размножение насекомых, способствуя росту их численности.
Как бороться с вредителем?
1. Из агротехнических способов борьбы с трипсом применяют незамедлительное лущение стерни и глубокую вспашку земли.
Производят распашку почвы два раза: сразу после уборки урожая и ранней весной, до начала посевных работ.
Данный метод позволяет уничтожить до девяноста (!) процентов зимующих насекомых.
2. Еще один эффективный метод борьбы с вредителем – это проведение посевных работ яровых культур в максимально ранние сроки, а также выращивание более раннеспелых сортов пшеницы.
3. Из химических способов борьбы применяют инсектициды. Обрабатывают пшеничные поля в начале колошения, при этом гибнет значительная часть яйцекладущих самок, что важно. Опрыскивание проводят разрешенными видами инсектицидов «Карате», «Арриво», «Фастак», «Актелик».
Обработку проводят тогда, когда в фазе трубкования – начало колошения на посевах насчитывается восемь – десять взрослых насекомых на один стебель.
Трипс табачный: описание и меры борьбы с вредителем
Табачный трипс не только является основным вредителем табака – он также повреждает овощные культуры, такие как лук, огурцы или картофель. Кроме того, он переносит вирусные заболевания, что делает это насекомое весьма опасным для урожая вредителем.
К сожалению, табачный трипс – это не единственный вид трипсов, которые не прочь полакомиться нашим урожаем. Например, трипс пшеничный может нанести очень большой ущерб злаковым культурам.
Кто такой табачный трипс?
Табачный трипс – это крохотное насекомое, которое является вредителем табачных, лилейных, тыквенных овощебахчевых и овощных культур.
Трипс повреждает приблизительно 400 видов растений и распространен практически по всей территории России.
Описание личинки
Личинка табачного трипса напоминает взрослую особь, но без крыльев. Ее цвет изменяется в зависимости от стадии взросления от белого к желтому.
Описание взрослой особи
Взрослый трипс имеет узкое овальное тело, длина которого составляет примерно 0,8–0,9 мм. У него две пары узких крыльев серо-желтого цвета, окруженных бахромой. Самки и самцы имеют некоторые отличия.
Самка может быть как светло-желтого, так и темного, почти черного, бурого цвета. У нее поперечная голова с маленькими щетинками и поперечная переднегрудь. Передние крылья имеют слегка желтоватый оттенок, а голени и бедра – серый. Самец мельче, чем самка, примерно 0,1–0,3 мм. Усики более темные, а тело, наоборот, светлее.
От других видов трипсов табачный отличается тем, что у него четыре дистальных щетинки на передних крыльях и практически прозрачный первый членик усиков.
Подвиды табачного трипса отличаются окраской тела. Весной обычно встречаются темные, а летом светлые.
Способ размножения

Табачный трипс практически никогда не находится на молодых или стареющих листьях. Большая часть располагается на сформировавшихся. Личинки встречаются на нижней части листа, реже – на цветках или плодах.
Эмбрион развивается от трех дней до недели, затем около 10 дней проходит стадия личинки. Они уходят в почву. И еще примерно через неделю на поверхность поднимаются уже взрослые насекомые.
Самки и их потомки перелетают с сорняков на культуры и вызывают повреждения.
Какой вред наносит растениям?
Табачный трипс вредит луку, огурцу, кабачкам, баклажану, бахчевым культурам, а иногда капусте, сельдерею и петрушке. Повреждения наносят как личинки, так и взрослые особи.
Трипс табачный высасывает из листьев сок, что приводит к дефициту влаги и образованию пятен желто-коричневого цвета. Также повреждаются лепестки и тычинки. При большой плотности насекомых листья скручиваются, желтеют и полностью засыхают. Кроме того, трипс может питаться соком цветков, из-за чего они преждевременно опадают.
Как бороться с вредителем?
Рассмотрим следующие меры борьбы с вредителем:
- агротехнические,
- биологические,
- химические.
Агротехнические методы
- обеспечение высокой влажности воздуха и равномерного полива, т. к.
табачный трипс преимущественно развивается на тех культурах, которые растут в сухих местах;
- перекапывание почвы и ликвидация послеуборочных остатков;
- борьба с сорняками, так как на них трипсы размножаются и питаются весной;
- размещение лука как можно дальше от других культур для предотвращения их заселения табачным трипсом, так как именно лук чаще всего повреждает данный вредитель.
Биологические методы
- хищные клещи-фитосейиды (Neoseyulus) эффективно борются с личинками трипса. Норма применения – 300–500 самок на одно растение. Их разводят на отрубях пшеницы и кормят акаровыми клещами;
- клопы-ориусы и антокорисы.
Химические средства

- «Актара», ВДГ (400 г/га);
- «Каратэ Зеон», МКС (150–200 мл/га);
- «Фуфанон» (1 ампула на 1 л воды);
- «Командор Макси» (3 г/га);
- «Искра Золотая» (10 мл/га).
Также можно применять настой луковой шелухи – 4 л воды на 2 л шелухи, через два дня долить еще 12 л воды и добавить хозяйственное мыло. А луковицы перед закладкой на хранение следует обработать серным газом (на 1 м3 помещения используется 50 г серы).
Использование этих методов (в отдельности или в совокупности) поможет избавить табачные и овощные культуры от табачного трипса, а применение незараженных посадочных материалов – снизить риск его появления в дальнейшем.
Как бороться и можно ли избавится в домашних условиях на растениях от вредителя калифорнийского трипса? Как выглядит и фото?
Калифорнийский трипс – это один из самых опасных видов вредителей, наполняющих территорию Российской Федерации, а точнее, всю восточно-европейскую равнину. Насекомое является всеядным и переносит многочисленное количество заболеваний.
Западный цветочный (калифорнийский) трипc (Frankliniella occidentalis Perg.):
Родиной калифорнийского трипса являются Соединённые Штаты Америки. Там этот вид насекомых распространен от северной границы Мексики до штата Аляска.
- Первые особи этого вида насекомых были обнаружены в районе штата Калифорния.
- В Европе насекомое впервые увидели в 1983 году, а в России вредители появились после распада СССР.
- СПРАВКА: От других видов этой группы вредителей отличается устройством усов и щетинок, которые можно детально рассмотреть только под микроскопом.
- Определить, что цветы поражены именно этим видом насекомых можно по внешнему виду особей:
- Взрослые особи достигают длины в 1 миллиметр;
- Узкая талия;
- Расцветка от светло-желтых оттенков до темно-коричневых (передняя часть ярко-желтого цвета);
- Крылья напоминают ткань-бахрому, окраска темнее, чем у туловища;
- Передние крылья и лапки имеют заострённый кончик;
- Ротовая полость колюще-сосущего типа.
Калифорнийский трипс на протяжении всей зимы проживает в плохо отапливаемых помещениях, поедая при этом лук или капусту. Он попадает на плоды культур ещё в летний период, а потом вместе с ними переезжает в хранилище. 10 градусов тепла и он начнет шевелиться, 13 градусов и вредитель снова начнёт поедать растения.
Поедая все вокруг, насекомое легко уничтожает побеги огурцов или целые оранжереи.
ВНИМАНИЕ: Зачастую люди сами приносят трипс к себе на участки. Покупая зараженные рассаду или черенки в магазине.
Появляясь на листьях комнатных растений, калифорнийский трипс становится причиной образования желтых пятен. Далее, вся листва, покрытая насекомыми, отмирает.
Продолжая поедать растение, трипс провоцирует изменение контуров цветов. Стебли искривляются, побеги не восходят. При поедании почек, цветы начнут скручиваться и засыхать. Кроме того, вредитель не брезгует и пыльцой.
Средства и методы борьбы с трипсами

Среди эффективных методов в борьбе с калифорнийским трипсом выделяют следующие:
- На растения накладывается специальная сетка от комаров. Ее ячейки очень малы, даже для вредителя;
- Раз в несколько дней нужно проводить тщательный осмотр всех растений на участке. При обнаружении признаков калифорнийского трипса, растение нужно уничтожить, это предотвратит перемещение вредителя на другие овощные и плодовые культуры, цветы;
- На пораженные растения выпускают хищников, которые поедают этих насекомых. В число таких хищников входят клещи и клопы. Но следует понимать, что едой могут стать только личинки и молодые особи.
- Использование специальных химических средств. При этом способе борьбы, необходимо соблюсти все меры предосторожности, а затем промыть растение большим количеством воды.
При соблюдении этих манипуляций, присутствует высокий шанс избавиться от вредителей.
Трипс Под Микроскопом::
Фото и описание видов трипс: Западный калифорнийский цветочный, Луковый, Табачный и другие
Каждый цветовод знает о том, что в уходе за комнатными растениями нужно обращать внимание не только на поливку и подкормку, но и всячески защищать цветы от вредителей.
Одним из наиболее распространенных видов вредителей являются трипсы и потому крайне важно при первых признаках его появления начинать действовать.
Показать содержание
Кто это такие?
Трипсы – это маленькие и необычайно прожорливые насекомые. Известно более двух тысяч видов этого вредителя и только на территории бывшего СССР их около 300.
Трипсы представляют собой мелких продолговатых жучков серого, бурового или черного цвета. В зависимости от того, к какому виду они принадлежат, их рост может составить от 0,5 мм до 1,5 см.
Чаще всего трипсы встречаются длиной около 2 мм. У них короткие быстрые лапки, на каждой из которых у самого основания присутствует пузыревидный нарост.
Из-за этого их часто называют пузыреногие.
Также у них есть крылья с несколькими продольными жилками, по краям которых находится длинная волосяная бахрома. Во время развития трипсы преодолевают несколько этапов, начиная от яйца и заканчивая имаго. В тот период, когда трипсы являются личинками, у них отсутствуют крылья, а их окрас бежевого или серого цвета.
Справка! Трипсы являются одними из самых древних насекомых на планете. Многие ученные придерживаются мнения, что от них в древности произошли клопообразные.
Из-за маленького размера этих насекомых становится довольно трудно определить, к какому виду они принадлежат. Среди трипсов существует множество разных видов, которые являются крайне опасными для различных растений. Трипсы обезвоживают цветки, плоды и листья, загрязняют растения своими выделениями, а также могут заразить их разными болезнями и вирусами.
Разноядный
Этот вид один из самых распространенных среди трипсов, который также называют «обыкновенный». Встречается повсеместно, даже в субантарктике. Имеет бурый или черно-бурый окрас. Взрослая особь в длину достигает не более 1 мм. У него желтые передние голени и затемненные крылья, на основании которых присутствует светлая поперечная полоска.
В течение года дают не более 2-3 поколений. Самки откладывают яйца в чашелистиках и стеблях кормовой культуры. Несет немалый вред для ягодной культуры, травы, плодовые деревья, бобовые и злаковые. Питается не только соцветиями, но и формирующимися завязями. В общей сложности известно около 500 видов различных растений, которыми питается данный вредитель.
Западный калифорнийский цветочный
Этот вредитель относится к тропическим видам. Распространен по всему миру, но более всего на территории Северной Америки. Это крошечное насекомое, не более 2 мм в длину. У него преимущественно светло-желтый или темно-коричневый окрас.
Его ротовой аппарат относится к колюще-сосущему типу. Передние крылья этого насекомого имеют заостренную вершину. Также этот вредитель отличается большой устойчивостью к химическим средствам защиты растений.
Западный калифорнийский цветочный трипс считается одним из самых опаснейших вредителей для декоративных, цветочных и овощных растений закрытого грунта.
Он питается соком выращиваемой культуры, что приводит к искривлению плодов и побегов, деформации цветков и задержки развития растений. Цветочный трипс также является переносчиком вирусных заболеваний.
Пшеничный
Данный вид вредителя широко распространен на территории России. Помимо этого он также охватывает территории Северной Америки, Африки и Западной Европы. Пшеничный трипс представляет собой мелкое, удлиненное насекомое от 1,5 до 2,3 мм.
Ротовой аппарат, который относится к колюще-сосущему типу, направлен назад вдоль тела. Крылья имеют удлиненную форму, с длинной бахромой ресничек по краям и суженные посереди. На заднем крае передних крыльев также присутствуют реснички. Окраска этого насекомого варьируется от черно-бурового до черного цвета. Передние лапки и передние голени пшеничного трипса окрашены в желтый цвет.
Этот вид, в основном, наносит вред следующим растениям:
- яровая пшеница;
- ячмень;
- овес;
- кукуруза;
- гречиха;
- дикие злаки;
- хлопчатник;
- табак;
- дикорастущие травянистые растения.
При поедании он повреждает цветочные пленки, колосовые чешуйки и ости. Также он высасывает сок, чем вызывает у растений щуплозернистость и белоколосость.
Табачный
Табачный трипс более всего распространен на территории Австралии, Америки, Азии и Африки. У него удлиненное тело овальной формы, которое состоит из обособленных отделов брюшка, груди и головы.
Этот вид довольно мелкий, в отличие от других. Его максимальная длина составляет 1,5 мм. Передние лапки и крылья имеют желтоватый окрас. От других видов трипса он отличается наличием боковых щетинок на каждой стороне тергита второго членика.
В основном табачный трипс повреждает побеги, соцветия и листья растений из следующих семейств:
- зонтичные;
- пасленовые;
- розоцветные;
- лютиковые;
- лилейные.
Но чаще всего он вредит табаку, высасывая жидкость из клеток покровных тканей. При сильных повреждениях листья растений покрываются желто-белыми крапинками с черными точками, после чего буреют и засыхают.
Луковый
Является распространенным овощным вредителем. Встречается на территории всего мира. Взрослая особь этого насекомого достигает в длину от 0,8 до 0,9 мм. Луковый трипс имеет продолговатое узкое тело, которое окрашено в темно-бурый или светло-желтый цвет.
Крылья этого насекомого обрамлены бахромой. Повреждает следующие культуры:
- лук;
- огурцы;
- чеснок;
- бахчевые;
- цветочные.
В основном повреждения наносят самки и личинки. Они питаются клеточным соком листьев, что вызывает появление светлых некрозных пятен, которые со временем буреют. В результате нанесенного вреда растения замедляются в росте и урожай уменьшается.
Розанный трипс довольно широко распространен на территории бывшего СССР. У него удлиненное овальное тело, которое вырастает в длину не более 1 мм. Внешне он мало чем отличается от разноядного трипса, за исключением характерного коричневого окраса.
Этот вид питается листьями и цветками, которые относятся к семейству розоцветных. Высасывая сок из растений, он вызывает появление на листьях бурых пятен, после чего они засыхают. Они поселяются внутри бутонов и потому их очень трудно обнаружить.
Драценовый
Данный вид насекомых чаще всего встречается в Северной Америке и Западной Европе, но также широко распространен и в России. Драценовый трипс имеет маленькое тело, продолговатой формы. По внешнему виду он схож с розанным и разноядным трипсом. Его характерным отличием является желто-бурая окраска.
Драценовый трипс крайне опасен для множества комнатных растений, но чаще всего он повреждает следующие:
Его довольно сложно обнаружить и в основном он распространяется в закрытых помещениях, особенно в северных регионах.
Декоративный
Это опаснейший вредитель закрытого грунта. Более всего распространен в северных регионах и средней полосе Европы и Азии. У него, как и у других представителей трипсов, удлиненное тело размером от 1,5 до 2 мм.
Отличить его от других видов можно по яркой темно-бурой окраске. Также его отличительным признаком является темные крылья, в основании и на кончиках которых виднеются светлы пятна. Декоративный трипс представляет угрозу для множества комнатных растений.
Справка! Многие виды трипсов не способны летать, так как у них очень слаборазвиты крылья.
Особенно от него страдают следующие:
- орхидея (как бороться с трипсами на орхидее, читайте тут);
- денежное дерево;
- пальмы.
Чаще всего они обитают в бутонах цветов. Если на растении цветов нет, то они держаться на нижних листовых пластинках.
Заключение
Трипсы могут нанести растениям серьезный непоправимый вред. Именно поэтому для каждого цветовода крайне важно уметь опознавать и различать их виды. Эти знания в дальнейшем смогут помочь побороть этих насекомых и спасти растения.
Западный цветочный (калифорнийский) трипс — огурец, томат, перец, лук, декоративные культуры
Латинское название: Frankliniella occidentalis Pergande
Систематическое положение: отряд трипсы, или бахромчатокрылые, семейство трипсы (Thripidae).
Карантинный объект с постоянно расширяющимся ареалом. Отмечен в тепличных хозяйствах Северо-Западного, Центрального, Волго-Вятского и Северо-Кавказского регионов. Круг кормовых растений включает свыше 250 видов. В теплицах повреждает огурец, томат, перец, лук и многие декоративные культуры.
Имаго длиной 1,3—1,4 мм, тело узкое, окраска варьирует от светло-желтой до темно-коричневой; голова и переднеспинка желтые; на переднем и заднем краях переднеспинки расположено по 5 пар крупных щетинок; антенны 8-члениковые; крылья бахромчатые, слегка затемненные. Личинки имагообразные, меньше и светлее имаго. У табачного трипса, также вредящего в защищенном грунте, антенны 7-члениковые, на заднем крае переднеспинки 3—4 пары щетинок.
Зимний период трипсы переживают в теплицах: имаго —под растительными остатками и на конструкциях, преимагинальные стадии — в грунте. В южных регионах возможна зимовка в открытом грунте. После высадки в теплицах рассады овощных культур появляются на растениях.
Трипсы откладывают яйца в проколы на листьях и верхних частях стебля. Питаясь на растении в течение 1 мес, каждая самка может отложить около 300 яиц. При дополнительном питании пыльцой цветущих растений плодовитость насекомых возрастает.
Отродившиеся личинки начинают активно питаться на листьях растений, где трипсы проходят два личиночных возраста. Следующие стадии вредителя — пронимфа и нимфа развиваются в почве. Через несколько дней на растениях появляются имаго нового поколения.
Для развития одного поколения вредителя в условиях теплицы требуется 15—21 день. В защищенном грунте за вегетационный период развивается от 12 до 15 поколений западного цветочного трипса.
Питание трипсов на листьях вызывает появление желтых некротических пятен, которые при сильном повреждении занимают более половины площади листа. Поврежденная ткань листа подсыхает и выкрашивается, образуются отверстия неправильной формы: листья увядают и опадают.
Верхушки стеблей, особенно у огурца, искривляются. При питании вредителя на цветках завязываются деформированные плоды. Повреждения, наносимые трипсами, приводят к сильному угнетению растений.
Западный цветочный трипс переносит опасные вирусные болезни растений, в том числе вирус пятнистого увядания томата.
Проведение комплекса карантинных и организационно-хозяйственных мероприятий, препятствующих появлению вредителя в теплицах или его распространению. Стерилизация грунта, обеззараживание инструмента и тары. Уничтожение сорняков.
При обнаружении единичных очагов трипса в защищенном грунте удаление поврежденных растений, выпуск в очаги энтомофагов: клеща амблисейуса — 5 самок хищника на лист или клопа ориуса —до 10 особей на 1 м2.
На огурце порог экономической вредоносности западного цветочного трипса составляет 2 имаго или 9 личинок на 1 лист. В этом случае допускается применение химических средств защиты растения, КЭ (л/га): арриво — 0,64—0,8; актеллика или фосбецида — 3—5; фитоверма — 10—30 и др.
С учетом биологии вредителя повторную обработку следует проводить через 7—8 дней после первой. Срок ожидания после применения химических препаратов 2—3 дня.


Комментарии 0